Home Project
Votre agence immobilière depuis 2005
RECHERCHE

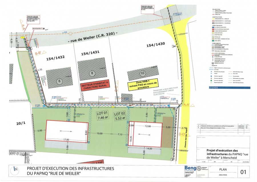
Terrain constructible à vendre à Merscheid (Putscheid)

  • Référence : 1769
  • Type : Terrain constructible
  • Superficie terrain : +/- 5,52 ares
  • Prix de vente : 380 000 €
Contact
Classe énergétique
NC
Classe d'isolation thermique NC

Description

Home Project SA vous propose une magnifique parcelle à bâtir de 5,52 ares (lot n°2), destinée à la construction d'une maison unifamiliale ou bifamiliale.

Ce lot peut être utilisé exclusivement pour des maisons bi- ou unifamiliales, offrant ainsi un cadre idéal pour une vie familiale harmonieuse.

Atouts principaux :

Orientation plein sud! Profitez d'une luminosité naturelle optimale tout au long de la journée.

Terrain proposé avec ou sans contrat de construction, selon vos préférences.

Emplacement calme et résidentiel, situé dans un environnement paisible, parfait pour les familles recherchant tranquillité et confort.

Construisez la maison de vos rêves sur ce terrain idéalement situé, où sérénité et qualité de vie se rencontrent !

Home Project SA bietet Ihnen ein wunderschönes Baugrundstück von 5,52 Ar (Los Nr. 2) an, das für den Bau eines Ein- oder Zweifamilienhauses bestimmt ist.

Dieses Los kann ausschließlich für Zwei- oder Einfamilienhäuser genutzt werden und bietet somit einen idealen Rahmen für ein harmonisches Familienleben.

Hauptattraktionen :

Südausrichtung - Genießen Sie den ganzen Tag über optimale natürliche Lichtverhältnisse.

Grundstück wird mit oder ohne Bauvertrag angeboten, ganz nach Ihren Wünschen.

Ruhige Wohnlage in einer friedlichen Umgebung, perfekt für Familien, die Ruhe und Komfort suchen.

Bauen Sie Ihr Traumhaus auf diesem ideal gelegenen Grundstück, wo Gelassenheit und Lebensqualität aufeinandertreffen!

Home Project SA offers you a magnificent 5.52-acre building plot (lot no. 2) for the construction of a single-family or two-family home.

This lot can be used exclusively for two- or single-family homes, providing an ideal setting for harmonious family life.

Key features :

South-facing - Enjoy optimum natural light all day long.

Land available with or without a building contract, depending on your preferences.

Quiet, residential location in a peaceful environment, perfect for families seeking peace and comfort.

Build the home of your dreams on this ideally located plot, where serenity and quality of life meet!

Caractéristiques

Extérieur

Terrain5.52 ares

Contactez-nous

+352 26 36 11 12

Vous
 
Champs obligatoire
 
 
 
En envoyant ce formulaire, j’accepte que mes informations soient enregistrées puis utilisées par notre agence afin de répondre à ma demande. Consultez notre pour connaître vos droits.
 

Localisation

rue de Weiler, L-9380, Merscheid (Putscheid)